
| 価格 | 1,290万円 |
|---|---|
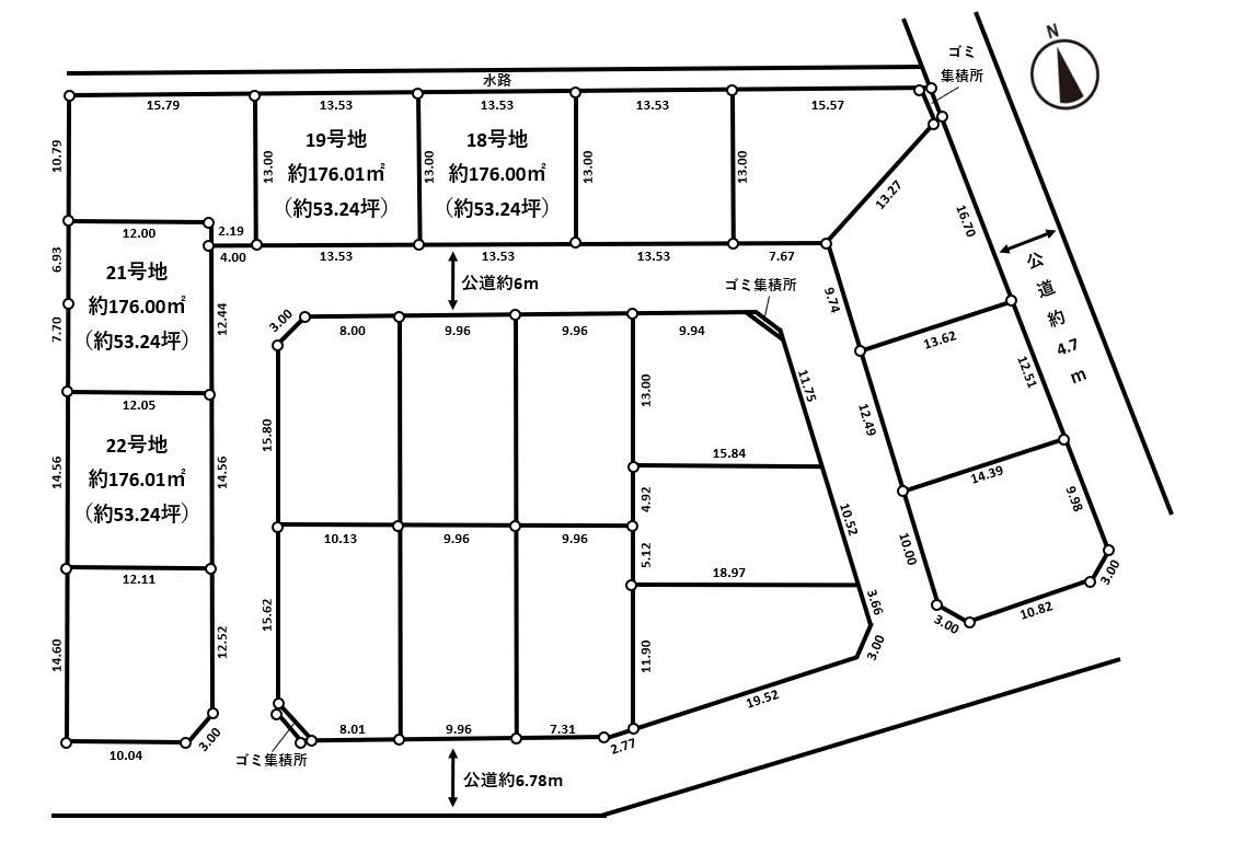
| 所在地 | 千葉県木更津市高柳1567-1 |
| 交通 | JR内房線 巌根駅 バス12分 |
| 土地面積 | 176.00㎡(53.24坪) |
| 地目 | 宅地 |
| 用途地域 | 無指定 |
| 都市計画 | 市街化調整区域 |
| 現況 | 更地 |
| 建ぺい率・容積率 | 60%・200% |
| 建築条件 | 無 |
| 設備 | 公営水道・個別浄化槽・都市ガス・東京電力 |
| 道路種別 | 方向:中央 種別:開発道路6.0m |
| 学区 | 木更津市立高柳小学校 木更津市立岩根中学校 |
| 備考 | ー |
| 保育園 | ゆりかご保育園 約590m |
|---|---|
| 小学校 | 木更津市立高柳小学校 約1946m |
| 中学校 | 木更津市立岩根中学校 約1841m |
| スーパー | VERY FOODS尾張屋岩根店 約2002m |
| コンビニ | セブンイレブン木更津高柳南店 約192m |
| ドラッグストア | ツルハドラッグ木更津高柳店 約210m |
| 病院 | 医療法人社団鵬会高名清養病院 約618m |
| 郵便局 | 巌根郵便局 約1566m |