Reservation Reservation Reservation
来店予約
はこちら
0438-38-4111 不動産に関するご相談
Contact Contact Contact Contact Contact
不動産に
関する
ご相談は
こちら
Reservation Reservation Reservation
来店予約
はこちら
木更津市清見台オープンハウス開催中
  • NEW

君津市杢師3丁目

730万円
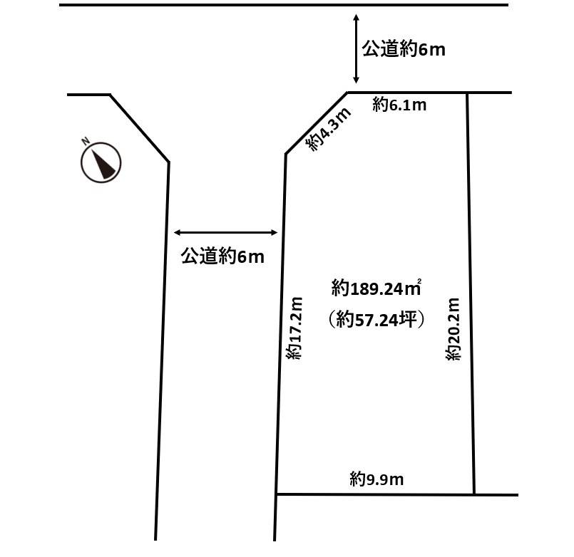
区画図
区画図
previous arrow
next arrow
 
お電話でのお問い合わせはこちらから
0438-38-4111

物件概要

価格730万円
所在地千葉県君津市杢師3丁目6-1
交通JR内房線 君津駅 バス8分
土地面積189㎡(57.17坪)
地目
用途地域第一種低層住居専用地域
都市計画市街化区域
現況古家有
建ぺい率・容積率50%・100%
建築条件
設備公営水道・公共下水・都市ガス
道路種別方向:北東
種別:公道6.0m
方向:北西
種別:公道6.0m
学区君津市立南子安小学校
君津市立君津中学校
備考契約不適合責任免責

周辺環境

幼稚園スクルドエンジェル保育園もくし園 約545m
小学校君津市立南子安小学校 約863m
中学校君津市立君津中学校 約1211m
スーパースーパー富分君津店 約927m
コンビニファミリーマート君津杢師店 約227m
ドラッグストアクリエイトエス・ディー君津杢師店 約884m
病院君津山の手病院 約868m
郵便局君津南子安郵便局 約760m
お電話でのお問い合わせはこちらから
0438-38-4111